• Home
  • About
  • Articles
  • Books
  • Contact

Veterinary Radiology

Teaching and learning about veterinary diagnostic imaging.

  • Modality
    • Radiographs
    • Ultrasound
    • CT/MRI
  • Region
    • Thorax
    • Abdomen
    • Musculoskeletal
    • Neurologic
  • Species
    • Canine
    • Feline
    • Equine
    • Exotic

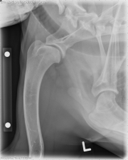
2 year old German Shepherd

February 1, 2018 By Allison Zwingenberger

Today’s case is a 2-year-old female neutered German  Shepherd mix with a 5-week history of intermittent left thoracic limb lameness that worsens with exercise. Take a look and post your interpretation!

cod180201-01
cod180201-02
cod180201-03
cod180201-04
cod180201-05
Show findings...

Findings

Left shoulder: On the lateral radiograph, there is flattening of the caudal aspect of the humeral head with a linear mineral density that is separated from the joint surface. There is mild sclerosis of the caudal humeral head. Osteophytes are present on the caudal glenoid as well as in the inter-turburcular groove. On the ventrodorsal projections, osteophytes are additionally visible on the medial and lateral aspects of the glenoid.

Right shoulder: On the lateral radiograph, the caudal humeral head is flattened and irregular with mild sclerosis of the subchondral bone. There are small osteophytes present on the caudal and distal glenoid as well as the inter-turburcular groove.

Show diagnosis…

Diagnosis

Bilateral shoulder osteochondrosis. Arthroscopy was performed and confirmed the radiographic findings, with left bicipital tendonitis.

Filed Under: Canine, Case of the Day, Musculoskeletal, Radiographs

Comments

  1. filipp says

    February 1, 2018 at 2:48 am

    Classic, great case, thanks

  2. Anna N says

    February 3, 2018 at 2:19 pm

    Hi, I was just wandering what this ‘ linear mineral density separated from the joint surface’ is?thank you. Can it be seen little bit in the right shoulder as well? Thank you,regards.

  • Bloglovin
  • Facebook
  • RSS
  • Twitter
AtlasCover787x1024 amazon-availablenow

Veterinary Radiology News

Sign up for alerts about new cases and newsletters.

We will respect your privacy.

Archives

Tags

abscess adenocarcinoma bronchiectasis carcinoma cardiomyopathy coccidioidomycosis discospondylitis elbow dysplasia eosinophilic bronchopneumopathy erosive polyarthritis feline infectious peritonitis FIP foreign body fracture gastric dilation gastric foreign body gastrointestinal GDV heart failure hemangiosarcoma hiatal hernia histiocytic sarcoma hypertrophic cardiomyopathy intestinal foreign body linear foreign body lymphoma megaesophagus osteochondrosis osteomyelitis osteosarcoma patent ductus arteriosus PDA pericardial effusion pneumonia pneumothorax polyarthritis PPDH pulmonary pulmonary abscess pulmonary adenocarcinoma pulmonary carcinoma sarcoma thymoma tracheal collapse vascular ring anomaly

Copyright © 2026 · Metro Pro Theme On Genesis Framework · WordPress · Log in