• Home
  • About
  • Articles
  • Books
  • Contact

Veterinary Radiology

Teaching and learning about veterinary diagnostic imaging.

  • Modality
    • Radiographs
    • Ultrasound
    • CT/MRI
  • Region
    • Thorax
    • Abdomen
    • Musculoskeletal
    • Neurologic
  • Species
    • Canine
    • Feline
    • Equine
    • Exotic

3 month old DSH cat

March 9, 2015 By Allison Zwingenberger

Today’s case is an orthopedic one involving a 3 month old domestic short haired cat with acute onset of left forelimb lameness. Check it out, and post your interpretations in the comments section.

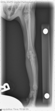
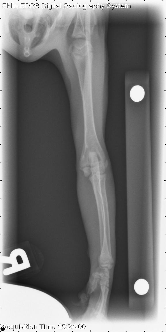
L LAT Elbow
R LAT Elbow
L AP Elbow
R LAT Elbow

Show findings...

Findings

There is a type 3 Salter-Harris fracture through the lateral distal humeral physis with mild cranial displacement of the humeral condyle in relation to the proximal humeral fracture fragment. There is moderate soft tissue swelling surrounding the distal aspect of the left humerus.

Case originally posted on June 12, 2009

Filed Under: Case of the Day, Feline, Musculoskeletal, Radiographs

Comments

  1. vet74 says

    June 12, 2009 at 5:28 pm

    The humerus is caudal in relation to the most distal part of the humerus. In other words there seems to be a separation along the distal physis- Salter Harris type 1 with a dislocation?

  2. Rosa Angela Ragni says

    June 13, 2009 at 5:01 am

    I agree about a Salter-Harris, with cranial displacement of the distal fragment. What is unclear is if there is also a fracture of the medial condyle (SH type II or III). I can see a shadow in the ML view, cranial to the distal fragment, and I seem also to see a fracture line within the distal fragment (goes craniocaudally); plus the caudal cortex seems interrupted. On the craniocaudal view, the medial condyle is displaced/a fragment is detached?
    CT would be useful.

  3. Bagetti says

    June 13, 2009 at 9:28 am

    Physeal fracture with involvement of both distal physis and epiphysis – Salter Harris type III.

  4. vet81 says

    June 13, 2009 at 2:06 pm

    I agree with of all You that there is a Salter Harris III fracture. There is a well seen fracture on the ap projection between medial and lateral condyle. There is also soft tissue swelling on the medial side of elbow joint.

  • Bloglovin
  • Facebook
  • RSS
  • Twitter
AtlasCover787x1024 amazon-availablenow

Veterinary Radiology News

Sign up for alerts about new cases and newsletters.

We will respect your privacy.

Archives

Tags

abscess adenocarcinoma bronchiectasis carcinoma cardiomyopathy coccidioidomycosis discospondylitis elbow dysplasia eosinophilic bronchopneumopathy erosive polyarthritis feline infectious peritonitis FIP foreign body fracture gastric dilation gastric foreign body gastrointestinal GDV heart failure hemangiosarcoma hiatal hernia histiocytic sarcoma hypertrophic cardiomyopathy intestinal foreign body linear foreign body lymphoma megaesophagus osteochondrosis osteomyelitis osteosarcoma patent ductus arteriosus PDA pericardial effusion pneumonia pneumothorax polyarthritis PPDH pulmonary pulmonary abscess pulmonary adenocarcinoma pulmonary carcinoma sarcoma thymoma tracheal collapse vascular ring anomaly

Copyright © 2026 · Metro Pro Theme On Genesis Framework · WordPress · Log in