• Home
  • About
  • Articles
  • Books
  • Contact

Veterinary Radiology

Teaching and learning about veterinary diagnostic imaging.

  • Modality
    • Radiographs
    • Ultrasound
    • CT/MRI
  • Region
    • Thorax
    • Abdomen
    • Musculoskeletal
    • Neurologic
  • Species
    • Canine
    • Feline
    • Equine
    • Exotic

Happy Boxing Day!

December 26, 2019 By Allison Zwingenberger

The last case of the year is 10-year-old male Boxer with swelling on the thoracic wall and right thoracic limb. What are your findings and differential diagnoses?

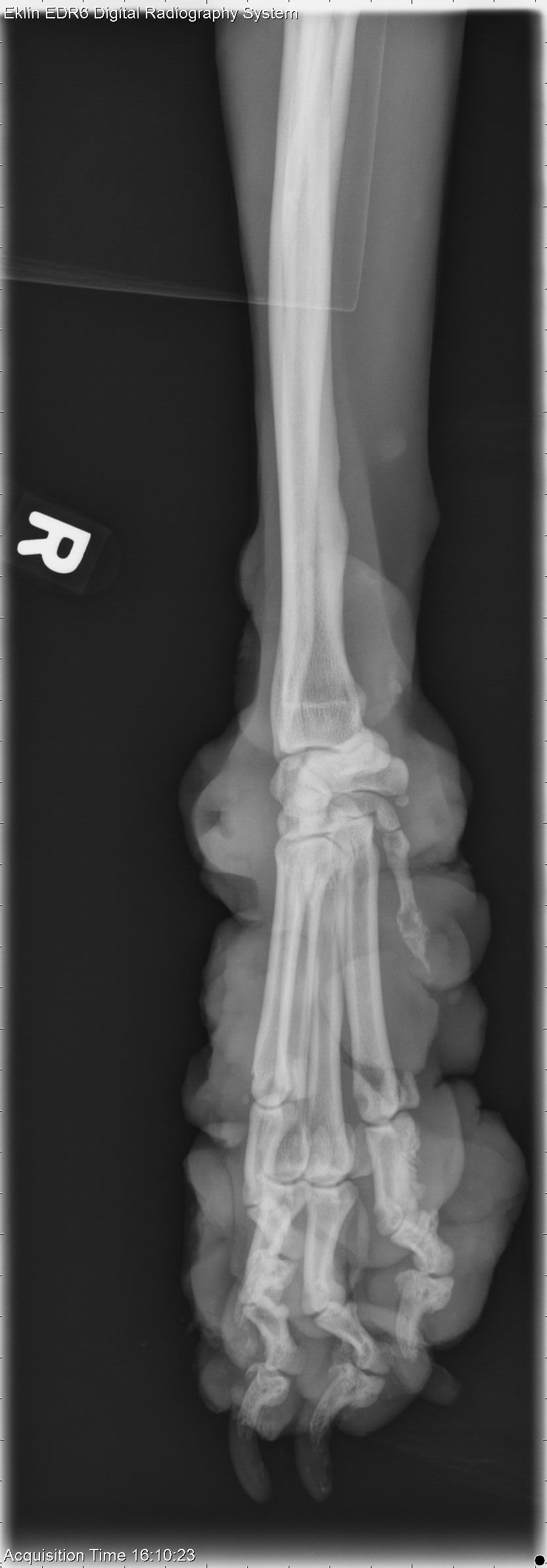
Thoracic Limb-R AP Fore
Thoracic Limb-R LAT Fore
Thoracic Limb-R LAT Fore
Thoracic Limb-R LAT Fore
Show findings...

Findings

There are multiple thickened regions of soft tissue surrounding the right carpus. Many of these swellings have air-filled cavities on the surface indicating ulceration. There is irregular to pallisading periosteal new bone formation along the medial aspect of the proximal phalanx of the second digit. The phalanx of the first digit is irregularly margined and tapers to a sharp osseous projection, with a small mineral opacity seen just distal to this phalanx. There is smoothly margined periosteal new bone formation along the medial aspect of the mid-diaphysis of the right 3rd metacarpal bone. There is also smoothly margined, periosteal new bone formation along the mediocaudal aspect of the distal radial diaphysis.
Show differential diagnosis…

Differential Diagnosis

The soft tissue changes are consistent with neoplasia, likely an additional site to that seen on the thoracic wall. The ulceration may have resulted in osteomyelitis, or periostitis of the adjacent bone. Neoplastic extension into the bone could also be considered.
Show diagnosis…

Diagnosis

  • Non-epitheliotrophic cutaneous T-cell lymphoma (large cell)

Filed Under: Canine, Case of the Day, Musculoskeletal, Radiographs

  • Bloglovin
  • Facebook
  • RSS
  • Twitter
AtlasCover787x1024 amazon-availablenow

Veterinary Radiology News

Sign up for alerts about new cases and newsletters.

We will respect your privacy.

Archives

Tags

abscess adenocarcinoma bronchiectasis carcinoma cardiomyopathy coccidioidomycosis discospondylitis elbow dysplasia eosinophilic bronchopneumopathy erosive polyarthritis feline infectious peritonitis FIP foreign body fracture gastric dilation gastric foreign body gastrointestinal GDV heart failure hemangiosarcoma hiatal hernia histiocytic sarcoma hypertrophic cardiomyopathy intestinal foreign body linear foreign body lymphoma megaesophagus osteochondrosis osteomyelitis osteosarcoma patent ductus arteriosus PDA pericardial effusion pneumonia pneumothorax polyarthritis PPDH pulmonary pulmonary abscess pulmonary adenocarcinoma pulmonary carcinoma sarcoma thymoma tracheal collapse vascular ring anomaly

Copyright © 2026 · Metro Pro Theme On Genesis Framework · WordPress · Log in