• Home
  • About
  • Articles
  • Books
  • Contact

Veterinary Radiology

Teaching and learning about veterinary diagnostic imaging.

  • Modality
    • Radiographs
    • Ultrasound
    • CT/MRI
  • Region
    • Thorax
    • Abdomen
    • Musculoskeletal
    • Neurologic
  • Species
    • Canine
    • Feline
    • Equine
    • Exotic

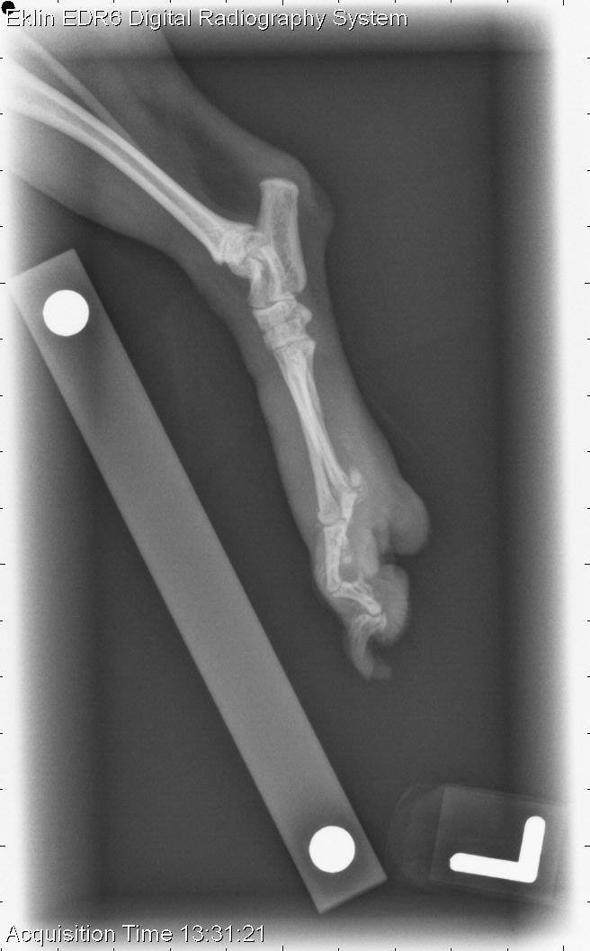
4 year old Yorkshire Terrier

September 27, 2018 By Allison Zwingenberger

This week’s case is a 4-year-old female Yorkshire Terrier with a 2-year history of toe swelling with previous P2 amputation. For musculoskeletal cases, my first priority is to decide whether the lesion is aggressive or non-aggressive. What do you think?

Pelvic Limb—L LAT Hind
Pelvic Limb—L LAT Hind
Pelvic Limb—L AP Hind
Show findings...

Findings

On radiographs of the left pelvic limb, there is lysis of the second metatarsal bone with only a proximal remnant. The third digit, including P1-2 and the distal metatarsal bone, are also lytic. The regions surrounding the distal interphalangeal joint of P5 are also lytic. P4 appears intact. There are small fragments of soft tissue in the region of the lytic metatarsal bones. The soft tissues surrounding this region are thickened, and there is smooth periosteal reaction and sclerosis of the third and fourth metatarsal bones.

Show differential diagnosis…

Differential Diagnosis

Severe multifocal aggressive bone lesions with osteolysis in the distal left pelvic metatarsal and phalangeal regions. This is most likely due to osteomyelitis; however, a soft tissue neoplasm invading bone cannot be completely ruled out.

Show diagnosis…

Diagnosis

The digits were amputated and osteomyelitis was found in P3, with resorption and fibrous replacement of bone in P5. No organisms were isolated.

Filed Under: Canine, Case of the Day, Musculoskeletal, Radiographs

  • Bloglovin
  • Facebook
  • RSS
  • Twitter
AtlasCover787x1024 amazon-availablenow

Veterinary Radiology News

Sign up for alerts about new cases and newsletters.

We will respect your privacy.

Archives

Tags

abscess adenocarcinoma bronchiectasis carcinoma cardiomyopathy coccidioidomycosis discospondylitis elbow dysplasia eosinophilic bronchopneumopathy erosive polyarthritis feline infectious peritonitis FIP foreign body fracture gastric dilation gastric foreign body gastrointestinal GDV heart failure hemangiosarcoma hiatal hernia histiocytic sarcoma hypertrophic cardiomyopathy intestinal foreign body linear foreign body lymphoma megaesophagus osteochondrosis osteomyelitis osteosarcoma patent ductus arteriosus PDA pericardial effusion pneumonia pneumothorax polyarthritis PPDH pulmonary pulmonary abscess pulmonary adenocarcinoma pulmonary carcinoma sarcoma thymoma tracheal collapse vascular ring anomaly

Copyright © 2026 · Metro Pro Theme On Genesis Framework · WordPress · Log in